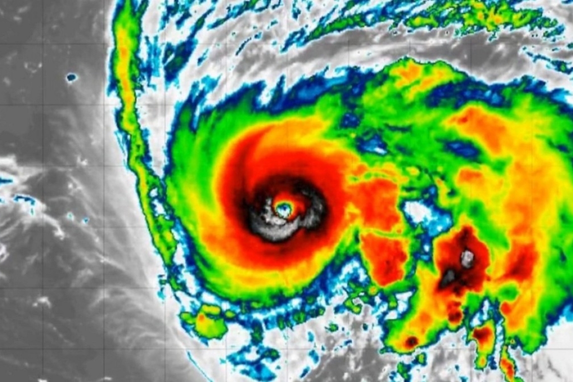
Ο κυκλώνας Ουμπέρτο, σε μια κατακλυσμιαία εξέλιξη, ενισχύθηκε στην Κατηγορία 5 της κλίμακας Σαφίρ-Σίμσον, προκαλώντας ανησυχία στις ΗΠΑ. Η καταιγίδα πλέον διαθέτει ισχύ θανατηφόρων ανέμων που αγγίζουν τα 257 χιλιόμετρα την ώρα, γεγονός που την τοποθετεί στο ανώτατο επίπεδο των τροπικών κυκλώνων. Αυτό το επίπεδο έντασης αποτελεί σοβαρή απειλή για τις παράκτιες κοινότητες, καθώς οι εξουθενωτικές θύελλες και οι καταστροφικές πλημμύρες που συνοδεύουν τέτοιους κυκλώνες μπορούν να προκαλέσουν ευρύτατες ζημιές. Οι αρχές βρίσκονται σε επιφυλακή, ενώ οι κάτοικοι καλούνται να ακολουθήσουν τις οδηγίες ασφαλείας και να προχωρήσουν σε εκκενώσεις όπου κρίνεται αναγκαίο.
Η Εθνική Υπηρεσία Καιρού των ΗΠΑ παρακολουθεί στενά τον κυκλώνα Ουμπέρτο και έχει εκδώσει προειδοποιήσεις για την πιθανότητα επιπλέον ενίσχυσης του φαινομένου στο άμεσο μέλλον. Η δύναμη του κυκλώνα αυτού αποδίδεται σε μια σειρά περιβαλλοντικών παραγόντων όπως η θερμοκρασία της θάλασσας και η ατμοσφαιρική πίεση, τα οποία βρίσκονται σε αλληλεπίδραση, ενισχύοντας τα καιρικά αυτά φαινόμενα. Οι επιστήμονες συνεχίζουν την έρευνά τους για την κατανόηση των παραμέτρων που επηρεάζουν την εντατικοποίηση τέτοιων φυσικών καταστροφών.
